Благоприятните дни за засаждане на капризни домати са особено вълнуващи градинари. Навременните засадени разсад ще бъдат ключът към богатата ...
Сорт
За осоляване в бъчви и консервиране изберете някои сортове домат. Всеки вид има своя характеристика ...
Сорт
Доматите от холандска селекция са популярни сред руските летни жители поради тяхната устойчивост на болести, високи търговски свойства. Изборът ...
Содата за хляб се използва не само в готвенето и домакинствата. Те правят отлична горна превръзка от него ...
култивиране
За бърза реколта при отглеждане на домати, оранжерии или оранжерии често се използват. Такива условия улесняват процеса ...
Болести и вредители
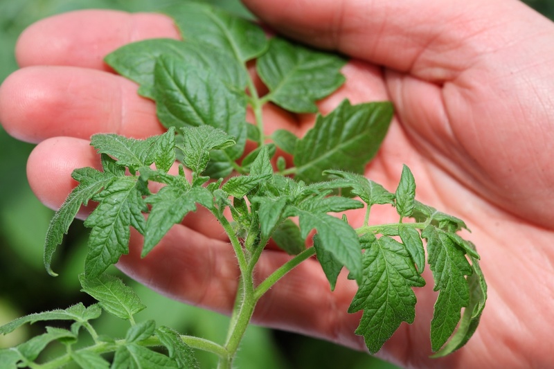
Специален проблем на разсада е къдренето на листата. Причините, които го причиняват, са неравномерното развитие на плочата, липсата на ...
култивиране
Популярен метод за отглеждане на разсад е китайският метод, който се използва широко поради своята ефективност. ...
култивиране
Осигурявайки доматите с добро и балансирано хранене по време на растеж и развитие, можете да получите изобилна реколта ...
култивиране
Методът за отглеждане на домати в кофи без дъно се появява в края на 20 век. Тогава за него ...
култивиране
Има много начини да увеличите производителността на доматите, а един от тях се увеличава в ...